Project Overview

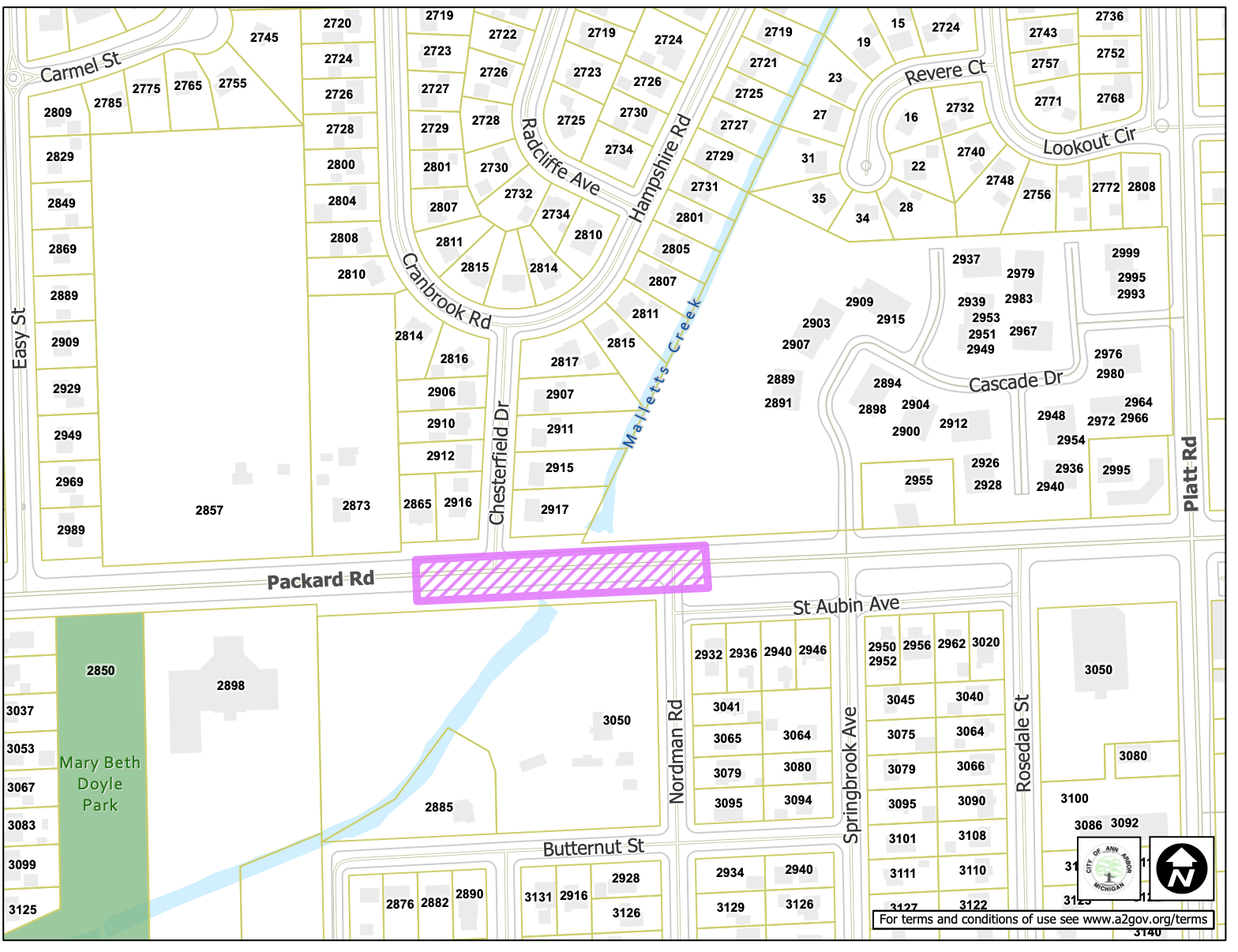
Replace aging 12-inch Cast Iron water main with a new 14-inch High Density Polyethene Pipe (HDPE) on Packard Street between Easy St. and Platt Rd.

Why is this project being done?

  • Replace aging 12-inch Cast Iron water main with a new 14-inch High Density Polyethene Pipe (HDPE) water main to improve the reliability of the water distribution system.
  • Need to address utilities condition ahead of the 2027 Packard resurfacing project

Work to be done

  • Place new 14-inch HDPE water main, using directional drill installation technique to cross under three culverts and two sanitary interceptors.
  • Tie-in to existing 12-inch ductile iron watermain on the south side of the street both ends, using open cut construction technique.
  • Restore full depth asphalt in the areas disturbed for the construction of the new watermain

Costs and funding source

  • City Water Utility Funds

TBD. Check back soon!

  • Work zone will have lane closures, with one lane in each direction on Packard will remain open through construction.
  • Side street closures, at Chesterfield and Nordman
  • Two Phased lane shift, on Packard during water main work

Phase 1 Packard traffic lanes will be pushed to the south side of the road.

  • Intersecting local road Chesterfield will be temporarily closed to all traffic to and from Packard, Chesterfield traffic should use Easy Street for access to Packard.
  • Intersecting local road Cascade will be temporarily closed to all traffic to and from Packard, Chesterfield traffic should use internal road to access off Platt.
  • Intersecting local road Nordman will be restricted to EB Packard right turn in, right turn out. Normand traffic should use Rosedale to access WB Packard.

Phase 2 Packard traffic lanes will be pushed to each curb lane, WB to the north side and EB to the south side.

  • Intersecting local road Chesterfield will be restricted to WB Packard right turn in, right turn out. Chesterfield traffic should use Easy St to access EB Packard.
  • Intersecting local road Nordman will be restricted to EB Packard right turn in, right turn out. Normand traffic should use Rosedale to access WB Packard.
  • Residents and businesses in the vicinity will experience noise and dust normally associated with construction.

Water interruptions

  • Generally, water service will be maintained with a few exceptions:

(1) Planned 6-8 hour interruptions when the new mains are tied into existing ones which will be proceeded by notification by orange door hangers 24 hours prior.

(2) Brief 30-minute interruption between (9-5) when services lines are transferred to the new main which will be preceded by 12-24-hour notice in person.

  • Contractor will do their best to avoid interrupting utility services to business, there are no anticipated impacts to businesses from this project.

Project Boundaries

​Packard Street at Mallets Creek​ water main replacement project extent

Packard Street at Mallets Creek water main replacement project extent