Project Overview

As part of the City’s 2026 Resurfacing Program, there was an opportunity to evaluate identified intersections for realignment and pavement reduction. The proposed intersection changes were at three locations:

  • Highland and Lafayette
  • Lenawee and Lafayette
  • Awixa, Lenawee, and Highland

Based on the survey responses received, these proposed changes will not be implemented. Please see the 'Survey Results' tab for more information.

The intersections of Highland and Lafayette, Lenawee and Lafayette, and Awixa and Lenawee and Highland are very wide, and thus have a significant amount of extra pavement. If these intersections were to be reconfigured, it would minimize our carbon footprint, increase stormwater infiltration, and decrease long-term maintenance costs.

Crash and speed data were evaluated during design. There have been no documented speed crashes in the last five years, and the neighborhood’s average speed is well below 25 mph. Neither data point showed evidence of safety concerns. However, if implemented, the reconfiguration would still create a safety benefit by increasing sightlines and decreasing driver confusion.

We were very interested in obtaining your feedback on the proposed changes. This feedback opportunity was open from March 23 to April 17, 2026.

In the survey there were drawings to provide a better understanding of the proposed changes. These drawings are not to scale, engineered, or final. They should be used only as a visual reference to help understand what is being proposed prior to responding to the survey.


What are the next steps post feedback?

Feedback results will guide what happens next:

  • If the neighborhood does not support this change, then the intersections will remain as they are currently laid out.
  • If the neighborhood supports the intersection changes, then the changes will be implemented when the street is resurfaced.
  • If the neighborhood only supports 1 or 2 of the 3 proposed changes the areas that received support will be implemented.

Regardless of the feedback outcome the streets identified for resurfacing this season will remain on the list to be resurfaced, as long as funding is available.

  • Provide residents with an understanding of why intersection changes are proposed.
  • Partner with the neighborhood to decide if intersection changes should be implemented based on feedback received.

Survey Results

Thank you to everyone who participated in the survey and shared feedback on the proposed intersection realignments and pavement reductions.

Based on the responses received, support for the proposed changes did not significantly outweigh the “do nothing” option. As a result, the intersections at Highland Road and Lafayette Road, Lafayette Road and Lenawee Drive, and Highland Road, Lenawee Drive, and Awixa Road will remain in their current configuration.

No changes will be implemented at these locations as part of the 2026 Resurfacing Program.

Intersection Drawings

As part of the City’s 2026 Resurfacing Program, there was an opportunity to evaluate identified intersections for realignment and pavement reduction.

The intersections that were considered for realignment and pavement reduction are:

  • Highland Road and Lafayette Road
  • Lafayette Road and Lenawee Drive
  • Highland Road, Lenawee Drive, and Awixa Road

Drawings have been created as visual reference to better understand what is being proposed. Drawings are not to scale, fully designed, or final.

Highland Road and Lafayette Road

Current Conditions Proposed Change

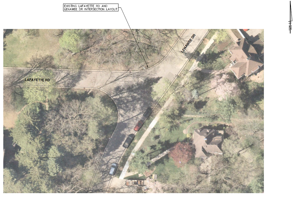
Lafayette Road and Lenawee Drive

Current Conditions Proposed Change

Highland Road, Lenawee Drive, and Awixa Road

Current Conditions Proposed Change